Back to Don's Maps
Back to Archaeological Sites Les Jamblancs
Bison, Magdalenian, les Jamblancs.
Badegoulian culture, ca 18 000 BP.
Photo: Don Hitchcock 2014
Source: Original, le Musée National de Préhistoire, Les Eyzies-de-Tayac
Diagram: Display, le Musée National de Préhistoire, Les Eyzies-de-Tayac
Bison, Magdalenian, les Jamblancs.
Badegoulian culture, ca 18 000 BP.
Photo: Don Hitchcock 2014
Source: Original, le Musée National de Préhistoire, Les Eyzies-de-Tayac
Diagram: Display, le Musée National de Préhistoire, Les Eyzies-de-Tayac
Cupule and incisions, les Jamblancs, Magdalenian.
Photo: Don Hitchcock 2014
Source: Original, le Musée National de Préhistoire, Les Eyzies-de-Tayac
Diagram: Display, le Musée National de Préhistoire, Les Eyzies-de-Tayac
Mammoth engraved on a limestone plaque, les Jamblancs.
Photo: Don Hitchcock 2014
Source: Original, le Musée National de Préhistoire, Les Eyzies-de-Tayac
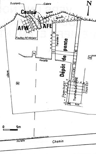
Map and plan of les Jamblancs.
Photo: Cretin (1996)
| Location of the deposit | Culture | Date |
|---|---|---|
| Deposits on the slope | Upper Solutrean | 19 000 ± 310 BP |
| Magdalenian 0 / Early Badegoulian | 17 770 ± 260 BP | |
| Abris at the foot of the cliff | Eastern abri, Magdalenian I, with raclettes | 14 850 ± 130 BP |
| Western abri, Magdalenian I/II? | 16 490 ± 130 BP (sic ) | |
| Gully (Couloir), Magdalenian III | 13 700 ± 120 BP |
Plan of the Jamblancs site.
Photo: Drucker et al. (2000)
Drucker Dorothée, Bocherens Hervé, Cleyet-Merle Jean-Jacques, Madelaine Stéphane, Mariotti André. Implications paléoenvironnementales de l'étude isotopique (¹³C, 15N) de la faune des grands mammifères des Jamblancs (Dordogne, France) / Isotopic study (¹³C, 15N) of large mammal fauna from Les Jamblancs (Dordogne, France) : paleoenvironnemental implications. In: Paléo. N. 12,2000. pp. 127-140.
Three views of a lamp from Jamblancs, early Magdalenian.
Photo: Don Hitchcock 2008, 2014
Source: Original on display at Le Musée National de Préhistoire, Les Eyzies-de-Tayac
Mammoth engraving, les Jamblancs.
Photo: Don Hitchcock 2014
Source: Original, le Musée National de Préhistoire, Les Eyzies-de-Tayac
Laurel leaf blades.
Flint and chalcedony.
From Les Jamblancs, Bourniquel (Dordogne)
Photo: Don Hitchcock 2014
Source: Musée d’art et d’archéologie du Périgord, Périgueux

The pieces shown here were probably heat treated to facilitate their fine workmanship, and are known as laurel leaf blades from their shape. They have been acclaimed since their first discovery at the Combe à Roland at Charente in 1860. Their end use is not actually known. Were they spear heads? knives?
Their perfection and the fragility of some examples suggest that they were prestige or status objects, and their beauty justifies their assessment as works of art.
Photo: Don Hitchcock 2014
Source and text: Musée d’art et d’archéologie du Périgord, Périgueux
Procurement and origin of raw material (except Senonian) in the Badegoulian levels of les Jamblancs.
Photo: Cretin (1996)
Possible method of les Jamblancs spear assembly, designed to come apart on impact, with the shaft less likely to be damaged, but with the point still embedded in the quarry.
(left): spear end fitted on a shaft.
(right): spear end disassembled.
Photo: Don Hitchcock 2014
Source: Musée d’art et d’archéologie du Périgord, Périgueux
This method of attachment is known from ethnological studies, but not from archaeological sites.
Photo: Don Hitchcock 2014
Source: Musée d’art et d’archéologie du Périgord, Périgueux
From Layer 3, les Jamblancs, excavations of J.-J. Cleyet-Merle.
Grattoirs, scrapers.
Photo: Don Hitchcock 2014
Source: Originals, Le Musée National de Préhistoire, Les Eyzies-de-Tayac
From Layer 3, les Jamblancs, excavations of J.-J. Cleyet-Merle.
Grattoirs, scrapers.
Photo: Don Hitchcock 2014
Source: Originals, Le Musée National de Préhistoire, Les Eyzies-de-Tayac
From Layer 3, les Jamblancs, excavations of J.-J. Cleyet-Merle.
Left: Grattoirs, scrapers.
Right: Number 9, perçoirs-becs, drills or borers or gravers - the terms denote tools which often grade one into the other.
Photo: Don Hitchcock 2014
Source: Originals, Le Musée National de Préhistoire, Les Eyzies-de-Tayac
From Layer 3, les Jamblancs, excavations of J.-J. Cleyet-Merle.
7: Burins.
8: Retouched pieces.
Photo: Don Hitchcock 2014
Source: Originals, Le Musée National de Préhistoire, Les Eyzies-de-Tayac
From Layer 3, les Jamblancs, excavations of J.-J. Cleyet-Merle.
Left: Grattoir, scraper.
Right: Number 10, raclettes.
Photo: Don Hitchcock 2014
Source: Originals, Le Musée National de Préhistoire, Les Eyzies-de-Tayac
From Layer 3, les Jamblancs, excavations of J.-J. Cleyet-Merle.
Left: Retouched pieces.
Right: Number 13, armatures, or flint spear points, with a single bevel.
Photo: Don Hitchcock 2014
Source: Originals, Le Musée National de Préhistoire, Les Eyzies-de-Tayac
From Layer 3, les Jamblancs, excavations of J.-J. Cleyet-Merle.
Armatures, spear points, bi-bevelled.
Photo: Don Hitchcock 2014
Source: Originals, Le Musée National de Préhistoire, Les Eyzies-de-Tayac
From Layer 3, les Jamblancs, excavations of J.-J. Cleyet-Merle.
Beautifully made armatures, or spear points.
Photo: Don Hitchcock 2014
Source: Originals, Le Musée National de Préhistoire, Les Eyzies-de-Tayac
From Layer 3, les Jamblancs, excavations of J.-J. Cleyet-Merle.
Shouldered points, or parts thereof, used as spear points.
Photo: Don Hitchcock 2014
Source: Originals, Le Musée National de Préhistoire, Les Eyzies-de-Tayac
From Layer 3, les Jamblancs, excavations of J.-J. Cleyet-Merle.
Top: Racloir.
Bottom: Composite tool, a burin and a scraper.
Photo: Don Hitchcock 2014
Source: Originals, Le Musée National de Préhistoire, Les Eyzies-de-Tayac
From Layer 3, les Jamblancs, excavations of J.-J. Cleyet-Merle.
Encoches / denticulés, notched and/or denticulated (toothed) tools.
Photo: Don Hitchcock 2014
Source: Originals, Le Musée National de Préhistoire, Les Eyzies-de-Tayac
From Layer 3, les Jamblancs, excavations of J.-J. Cleyet-Merle.
These have been placed in the category of 'special tools'. The one on the left looks like a combination grattoir or scraper, with a drill on the other end. The other looks like a grattoir with a notch taken out.
Photo: Don Hitchcock 2014
Source: Originals, Le Musée National de Préhistoire, Les Eyzies-de-Tayac
From Layer 3, les Jamblancs, excavations of J.-J. Cleyet-Merle.
Bone industry, mostly spear points. On the lower right is a lissoir, used for stretching and working hides.
Photo: Don Hitchcock 2014
Source: Originals, Le Musée National de Préhistoire, Les Eyzies-de-Tayac
Bone industry from les Jamblancs.
11 Large bipointed spear point with an axial groove.
12 Lissoir, polisher for hides.
13 Fragment of a spear point with a repeated carving design.
15 Spear point with a truncated base.
Photo: Don Hitchcock 2014
Source: Originals, Le Musée National de Préhistoire, Les Eyzies-de-Tayac
Les Jamblancs ébauches, (rough unfinished works) and laurel leaf points.
Photo: Don Hitchcock 2014
Source: Original, Musée d’art et d’archéologie du Périgord, Périgueux
Les Jamblancs laurel leaf points.
Photo: Don Hitchcock 2014
Source: Musée d'art et d'archéologie du Périgord, Périgueux
Les Jamblancs
Drilled animal teeth, scrapers, bone spear points and a burin.
Photo: Don Hitchcock 2014
Source: Musée d'art et d'archéologie du Périgord, Périgueux
Les Jamblancs
Drilled animal teeth, used as pendants, or as parts of a necklace.
Photo: Don Hitchcock 2014
Source: Musée d'art et d'archéologie du Périgord, Périgueux
Les Jamblancs
Scrapers, including a banded chert scraper.
Photo: Don Hitchcock 2014
Source: Musée d'art et d'archéologie du Périgord, Périgueux
Les Jamblancs
Grattoirs-burins, a shouldered point and a nucleus, with a drill on the far left foreground.
Photo: Don Hitchcock 2014
Source: Musée d'art et d'archéologie du Périgord, Périgueux
Les Jamblancs
Combination grattoirs-burins, spear points, and a deer antler.
Photo: Don Hitchcock 2014
Source: Musée d'art et d'archéologie du Périgord, Périgueux
Les Jamblancs
Perçoirs, drills or borers.
Photo: Don Hitchcock 2014
Source: Musée d'art et d'archéologie du Périgord, Périgueux
Les Jamblancs
Laurel leaf blades
Photo: Don Hitchcock 2014
Source: Musée d'art et d'archéologie du Périgord, Périgueux
Jewellery from les Jamblancs
Les Jamblancs
Aporhais pes-pelicani
From the Magdalenien with raclettes.
Photo: Taborin (1991)
Les Jamblancs
Dentalium sp. raccourcis.
Left: Magdalenian 0
Right: Magdalenian III
Photo: Taborin (1991)
Les Jamblancs
Hinia reticula, Upper Solutrean.
Photo: Taborin (1991)
Les Jamblancs
Deer tooth from the Magdalenian II.
Photo: Taborin (1991)
Les Jamblancs
Two deer teeth from the Magdalenian II.
Photo: Taborin (1991)
Les Jamblancs
Detail of the preparation of a fox tooth from the Magdalenian I.
Decorated fox canines recovered from the site have all been unfortunately broken, all at the perforation and some, in addition, are fractured a little above the collar or neck.
Photo: Taborin (1991)
References
- Cretin C., 1996: Vers une nouvelle perception du Badegoulien des Jamblancs: Premiers éléments techno-économiques, Paléo, N. 8,1996. pp. 243-268.
- Drucker D., Bocherens H., Cleyet-Merle J., Madelaine S., Mariotti A., 2000: Implications paléoenvironnementales de l'étude isotopique (¹³C, 15N) de la faune des grands mammifères des Jamblancs (Dordogne, France), Paléo, N. 12, 2000. pp. 127-140.
- Taborin Y., 1991: La parure des Solutréens et des Magdaléniens anciens des Jamblancs, Paléo, N. 3, 1991. pp. 101-108.
Back to Don's Maps
Back to Archaeological Sites

